3월 27일 붕어 방생입니다 > 조황정보
본문 바로가기
사이트 내 전체검색
3월 27일 붕어 방생입니다 > 조황정보

조황정보

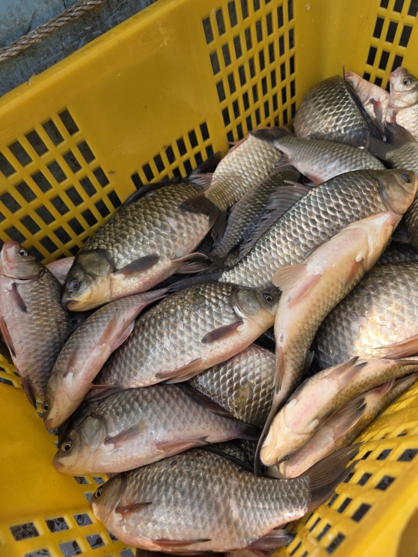
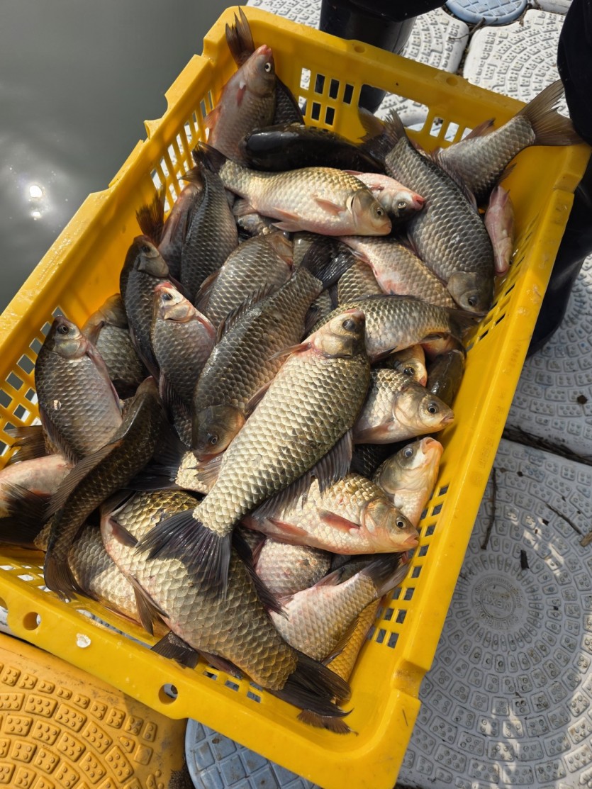
3월 27일 붕어 방생입니다

페이지 정보

profile_image
작성자 신수낚시터
댓글 0건 조회 63회 작성일 26-03-27 11:14

본문

247d789fafb530d91058002c4ee5a63a_1774577661_8206.jpg
247d789fafb530d91058002c4ee5a63a_1774577663_7404.jpg
247d789fafb530d91058002c4ee5a63a_1774577665_3196.jpg
247d789fafb530d91058002c4ee5a63a_1774577666_7721.jpg
247d789fafb530d91058002c4ee5a63a_1774577668_3649.jpg
247d789fafb530d91058002c4ee5a63a_1774577670_5602.jpg
247d789fafb530d91058002c4ee5a63a_1774577672_2249.jpg
247d789fafb530d91058002c4ee5a63a_1774577673_7373.jpg
247d789fafb530d91058002c4ee5a63a_1774577675_3763.jpg
247d789fafb530d91058002c4ee5a63a_1774577676_9596.jpg
 


신수낚시터

대표 : 김영일 | 사업자등록번호 : 312-27-74644

대표번호 : 041-543-2109 | 휴대폰번호 : 010-2158-4215

주소 : 충남 아산시 음봉면 신수리 산 51

Copyright © 신수낚시터. All rights reserved.

카카오네비
img